Philippines evacuates hundreds of thousands as super typhoon nears

Nearly a million people have been evacuated and floodwaters were rising in the Philippines on Sunday before Typhoon Fung-wong's expected late-night landfall on the east coast.

The super typhoon, which comes just days after another storm ravaged the country, was working its way west with winds of 185 kilometres (115 miles) per hour near the centre and gusts of up to 230 kph as of 11 am (0300 GMT), the state weather service said.

With a radius spanning nearly the whole of the Philippines, Fung-wong is expected to bring wind and heavy rain to broad swathes of the archipelago nation, which last week saw more than 220 people killed by Typhoon Kalmaegi. 

The Philippines' Catanduanes island could take a direct hit from Typhoon Fung-wong
COURTESY OF FACEBOOK USER EDSON CASARINO/AFP | Handout

Schools and government offices were ordered closed Monday across the main island of Luzon, including the capital Manila, where nearly 300 flights have so far been cancelled.

Catanduanes, a small island the state weather service said could take a "direct hit", was being lashed by wind and rain early Sunday, with storm surges sending waves hurtling over streets along the coast and floodwaters rising in some areas.

"As we speak, they are feeling the impact of the typhoon, especially in Catanduanes, because the storm's eye is closest there," civil defence deputy administrator Rafaelito Alejandro said at a press briefing, adding that 916,863 people had been evacuated nationwide.

"The waves started roaring around 7 am. When the waves hit the seawall, it felt like the ground was shaking," Edson Casarino, 33, a resident of Catanduanes' Virac town, told AFP.

"Heavy rain is pouring now, and I can hear the wind whistling."

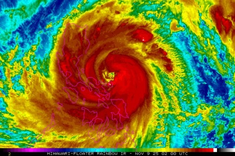
This handout from the US' National Oceanic and Atmospheric Administration taken on November 9 shows satellite imagery of super typhoon Fung-wong as it approaches the Philippines
National Oceanic and Atmospheric Administration National Environmental Satellite, Data, and Information Service (NOAA/NESDIS)/AFP | Handout

Video verified by AFP showed a church in the town surrounded by floodwaters that reached halfway up its entrance.

Flooding was also reported in southern Luzon's Bicol region, Alejandro said, adding officials had anticipated water would "rise in the Bicol River basin".

In Guinobatan, a town of about 80,000 in that region's Albay province, verified video showed streets that had become a raging torrent of floodwaters.

Typhoon Fung-wong is expected to bring about 200 millimetres (eight inches) or more rain in many places, according to government meteorologists.

Scientists warn that storms are becoming more powerful due to human-driven climate change. Warmer oceans allow typhoons to strengthen rapidly, and a warmer atmosphere holds more moisture, meaning heavier rainfall.

- 'Strapping down the roofs' -

On Saturday, Catanduanes rushed to prepare for the onslaught, with residents tying down their houses with ropes and putting weights on their roofs.

A photo taken by Mayor Benjie Ver shows people wading through a flooded street following heavy rains in Jipapad town, Eastern Samar province
Mayor Benjie Ver/AFP | Handout

"They decided to do our tradition of strapping down the roofs with big ropes and anchoring them on the ground, so they won't be blown away by the wind," provincial rescue official Roberto Monterola told AFP.

In Sorsogon, a city in southern Luzon, some sought refuge in a church.

"I'm here because the waves near my house are now huge. I live near the shore, and the winds there are now very strong," Maxine Dugan told AFP on Saturday evening.

Only days earlier, Typhoon Kalmaegi sent floodwaters rushing through the towns and cities of Cebu and Negros islands, sweeping away cars, riverside shanties and massive shipping containers.

The typhoon, the deadliest of 2025 according to disaster database EM-DAT, killed at least 224 people and left 109 missing, according to government figures updated Sunday morning.

On Saturday, rescue official Myrra Daven told AFP the approaching super typhoon had forced the suspension of search and rescue activities in Cebu, home to the majority of Kalmaegi's deaths.

"We cannot risk the safety of our rescuers. We don't want them to be the next casualties," she said.

 

You May Also Like